![]() |
|
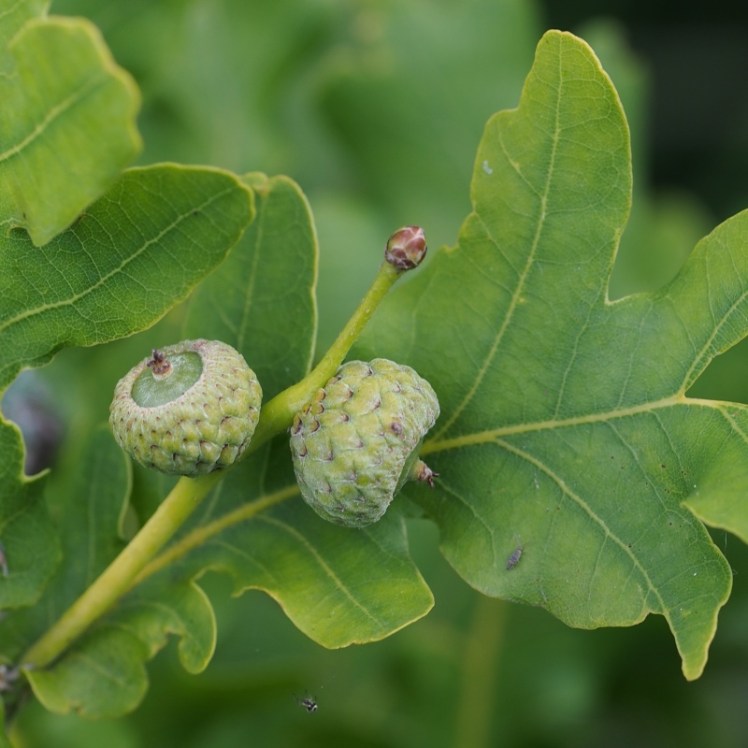
![]() Zulke minieme eikenbloempjes kunnen dus echt een hele eikel groeien, eerst groeit het dopje beschermend om het echte zaad: met eikenembryootje en genoeg voedsel voor kieming en eerste groei. |
|
![]() |
|
![]() |
![]() |
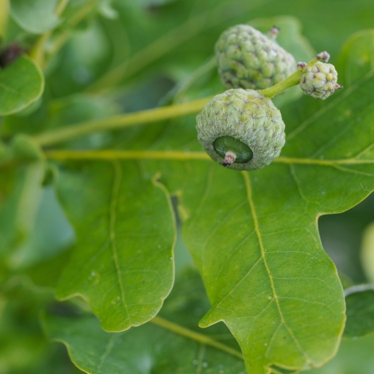
| Een Knoppergalwespje was er vroeg bij om dit eikeltje grillig te laten vergroeien tot een rijke voedselvoorraad voor haar larven.
|
|
Klik hier voor het bloeien van eiken
en hier voor Knoppergallen op eik






